![]() |
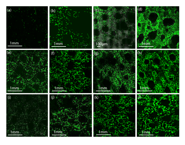
| Figure 8: Calcein-AM stained MG63s seeded on Spongia agaricina replicas after (a) 1 Day (b) 3 Days (c) 5 Days (d) 7 Days. Calcein-AM stained HDMECs seeded on Spongia agaricina replicas after (e) 1 Day (f) 3 Days (g) 5 Days (h) 7 Days. Calcein-AM stained HUVECs seeded on Spongia agaricina replicas after (i) 1 Day (j) 3 Days (k) 5 Days (l) 7 Days. (All images are representative of cell coverage over the entire surface). |